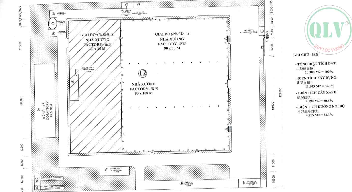
– Tổng diện tích khu đất 20.308m², trong đó diện tích xây dựng 8.312m², gồm nhà xưởng 7.952m² và văn phòng 360m² thiết kế hiện đại, tiện nghi.
– Bán nhà xưởng xây dựng kiên cố, hoàn thiện năm 2016, còn mới, có thể vào hoạt động ngay mà không cần đầu tư thêm.
– Hệ thống điện 3 pha, cấp thoát nước, xử lý nước thải và phòng cháy chữa cháy được lắp đặt đầy đủ, đáp ứng tiêu chuẩn của Khu công nghiệp Trảng Bàng.
– Đường nội bộ rộng rãi, xe container ra vào thuận tiện. Vị trí kết nối nhanh đến Thành phố Hồ Chí Minh, Bình Dương và các khu công nghiệp trọng điểm, thuận lợi cho sản xuất, logistics hoặc kho trung chuyển hàng hóa.
– Thời hạn sử dụng đất đến năm 2058.
– Bán nhà xưởng chính chủ có pháp lý rõ ràng.
– Giá bán: 89 tỷ đồng.
89,000,000,000 VND
Thông tin liên hệ
Mr. Tài
Mobile: 0931.769.444
Email: cskh.quylocvuong@gmail.com
Diện tích: 116.500 m2
Khu vực: Gò Dầu

399,000,000,000 VND
Diện tích: 38.249 m2
Khu vực: Tây Ninh

153,000,000,000 VND
Diện tích: 8.400 m2
Khu vực: Tây Ninh

7,000,000 USD
Diện tích: 7.000 m2
Khu vực: Hồ Chí Minh

69,000,000,000 VND
Diện tích: 4.200 m2
Khu vực: Hồ Chí Minh

70,000,000,000 VND
Diện tích: 20.233 m2
Khu vực: Bình Dương

2.5 USD/m2
Diện tích: 6.136 m2
Khu vực: Bàu Bàng

Liên hệ
Diện tích: 43.000 m2
Khu vực: Bến Cát

286,000,000,000 VND
Diện tích: 32.000 m2
Khu vực: Biên Hoà

13,000,000 USD
Diện tích: 10.000 m2
Khu vực: Hồ Chí Minh

99,000,000,000 VND