Cho thuê nhà xưởng ở Cái Bè Tiền Giang với quy mô cực đại hơn 22.300m2 đang trở thành thỏi nam châm thu hút các nhà đầu tư tại cửa ngõ vùng Đồng bằng sông Cửu Long. Không chỉ đơn thuần là không gian kho bãi, đây là một hệ sinh thái sản xuất được chia phân khu khoa học, sẵn sàng đáp ứng những chuỗi cung ứng phức tạp nhất.
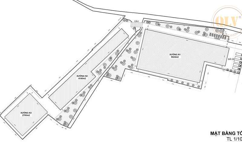
Điểm khác biệt lớn nhất của cho thuê nhà xưởng ở Cái Bè Tiền Giang này chính là sự linh hoạt trong phân khu sản xuất với tổng diện tích xây dựng (DTXD) lên đến 15.864m2, bao gồm:
Nhà xưởng N1 (9.024 m2): Không gian khổng lồ dành cho các dây chuyền sản xuất chính hoặc kho tổng lưu trữ hàng hóa quy mô lớn.
Nhà xưởng N2 (4.140 m2): Phù hợp làm khu vực sơ chế, đóng gói hoặc lắp ráp phụ trợ.
Nhà xưởng N3 (2.700 m2): Diện tích tối ưu cho các phân xưởng đặc thù hoặc kho biệt lập.
Việc sở hữu 3 nhà xưởng riêng biệt trên cùng một khuôn viên hơn 22.300m2 giúp doanh nghiệp dễ dàng tách biệt các quy trình sản xuất, đảm bảo tiêu chuẩn vệ sinh và an toàn cháy nổ cao nhất.
Lựa chọn Cho thuê nhà xưởng ở Cái Bè Tiền Giang, doanh nghiệp sẽ tận dụng được những “đòn bẩy” kinh tế quan trọng:
Giao thương thuận tiện: Nằm trên trục hành lang kinh tế trọng điểm, dễ dàng luân chuyển hàng hóa đi TP.HCM và các tỉnh miền Tây.
Hạ tầng hoàn thiện: Khuôn viên rộng rãi giúp xe container ra vào, quay đầu dễ dàng; hệ thống điện, thoát nước được đầu tư bài bản.
Chi phí tối ưu: Giải pháp thuê xưởng tại Cái Bè giúp giảm thiểu chi phí vận hành và logistics so với các khu vực trung tâm đang dần quá tải.
Với tổng diện tích xây dựng chiếm gần 16.000m2 trên quỹ đất rộng lớn, đây chính là “đại bản doanh” lý tưởng cho các doanh nghiệp chế biến nông sản, may mặc, hoặc logistics tại Tiền Giang.
Liên hệ
Thông tin liên hệ
Mr. Tài
Mobile: 0931.769.444
Email: cskh.quylocvuong@gmail.com
Diện tích: 18.936 m2
Khu vực: Bình Phước

Liên hệ
Diện tích: 11.854 m2
Khu vực: Bình Phước

Liên hệ
Diện tích: 20.665 m2
Khu vực: Đồng Nai

Liên hệ
Diện tích: 27.000 m2
Khu vực: Bến Cát

Liên hệ
Diện tích: 29.220 m2
Khu vực: Bến Cát

Liên hệ
Diện tích: 2.900 m2
Khu vực: Biên Hoà

Liên hệ